A 819 m de Hospital General ISSSTE C. Presidente Lázaro Cárdenas
Escuela
A 912 m de Primaria Rafael Ramírez Castañeda
Hospital
A 473 m de Unidad de Medicina Familiar No:44
Bodega con rampa para trailer con piso de cemento, Mezzanine metalico, Area de oficinas (3) dentro de bodega, con baño para trabajadores, altura de cortina metalica de 5 metros.
Oficinas recién remodeladas con piso y plafones nuevos, 5 oficinas privadas, recepcion, baño para mujeres y hombres separado.
Terreno adjunto para maniobras, con opcion para rentarse mas terreno adjunto si se requiere.
La Entrada es por la calle Pino, hay una caseta y cercado con malla ciclonica
Oficinas con aire acondicionado
Equipó: Aire acondicionado, luz de 220 w, cortina metálica con altura de 5 metros.
Terreno 2,021.48.00 m2
Bodega 1,044.80 m2, oficina interior 91.36 m2, oficina exterior 140.83 m2, mezzanine 87.54 m2, Anden 61.17 m2 +tejaban 70.72 m2
Nave Industrial
$ 2,957,939 MXN/mes
Destacado
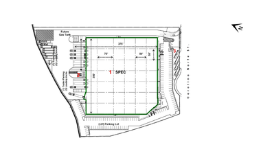
Jardines de La Mancha, Chihuahua
9,718 m²
Estacionamiento
28/08/2025 en - Beall Bienes Raices
Escuela
A 358 m de Facultad de Ciencias de la Cultura Física
Escuela
A 988 m de Facultad de Medicina y Ciencias Biomédicas
LOCATION FEATURES
• Industrial land use
• Qualified workforce nearby
• Location has all the necessary infrastructure
and services requiered
• Located within a consolidated industrial area
• Located near the U.S. border
BUILDING SPECIFICATIONS
Leasable area. 104,603 SF - 9,718 M2
Land area. 290,563 SF - 26,994 M2
oficies & Services 11,968 SF - 1,111 M2
Production area 86,034 SF - 7,992 M2
Clear Height 22 FT
Lighting. Lamps T5 60 x 54 30 fc
Skylights 5%
Parking spaces 47
Fire Protection system Hoses cabinets and sprinklers
Electrical substation One - 500 KVA capacity
Bay size 29 x 88
loading docks. 8
Roof type. SSR-KR18
Floor type. 6 concrete
Natural gas Commercial line
The Rent is payable on monthly basis plus NNN charges and VAT.
Licencia Inmobiliaria LPSI 00087/2022
cont----@beall.mx https://www.facebook.com/beallbienesraic----
Telefonos de contacto 614 2 52 3----. / 614 2 34 ----.
AVISO LEGAL: Los precios y condiciones de venta o arrendamiento publicados por cualquier medio son de carácter informativo y pueden cambiar sin previo aviso, el precio de venta/renta anunciado no representa una oferta o compromiso formal y tiene vigencia limitada. Toda operación u oferta formal esta sujeta a la celebración y firma de un contrato de arrendamiento o de compra venta y de servicios de intermediació…
Contamos con bodegas en renta en Complejo industrial, ubicado sobre carretera a Cuauhtémoc.
CARACTERÍSTICAS
· Ubicado en el Kilometro 7 de la carretera Cuauhtemoc
· Frente ala union ganadera
· Bodega de 500 m2
·Caseta de vigilancia 24/7
·Zona Industrial
·· Cubierta metálica con colchoneta aislante térmica de 3 pulgadas.
·9 metros de altura
·Anden y rampa
·Cubierta traslucido para ahorro de energía
Precio de renta: $120 x m2 +NNN
$8.00 x m2 de cuota de mantenimiento mensual
Licencia Inmobiliaria LPSI 00087/2022
cont----@beall.mx https://www.facebook.com/beallbienesraic----
Telefonos de contactos 614 2 52 3----. / 614 2 34 ----.
AVISO LEGAL: Los precios y condiciones de venta o arrendamiento publicados por cualquier medio son de carácter informativo y pueden cambiar sin previo aviso, el precio de venta/renta anunciado no representa una oferta o compromiso formal y tiene vigencia limitada. Toda operación u oferta formal esta sujeta a la celebración y firma de un contrato de arrendamiento o de compra venta y de servicios de intermediación inmobiliaria. EasyBroker ID: EB-RO8489
Nave Industrial
$ 86,355 MXN/mes
Las Ánimas, Chihuahua
909 m²
28/08/2025 en - Beall Bienes Raices
CARACTERÍSTICAS
· Ubicado en el Kilometro 7 de la carretera Cuauhtemoc
· Frente ala union ganadera
· Bodega de 909 m2
·Caseta de vigilancia 24/7
·Zona Industrial
·· Cubierta metálica con colchoneta aislante térmica de 3 pulgadas.
·9 metros de altura
·Anden y rampa posotiva
·Cubierta traslucido para ahorro de energía
Bodegas de 909 m2
$95.00x m2
$8.00 x m2 de cuota de mantenimiento mensual
Licencia Inmobiliaria LPSI 00087/2022
cont----@beall.mx https://www.facebook.com/beallbienesraic----
Telefonos de contacto 614 2 52 3----. / 614 2 34 ----.
AVISO LEGAL: Los precios y condiciones de venta o arrendamiento publicados por cualquier medio son de carácter informativo y pueden cambiar sin previo aviso, el precio de venta/renta anunciado no representa una oferta o compromiso formal y tiene vigencia limitada. Toda operación u oferta formal esta sujeta a la celebración y firma de un contrato de arrendamiento o de compra venta y de servicios de intermediación inmobiliaria. EasyBroker ID: EB-RK8411
Nave Industrial
1
$ 937,478 MXN/mes
Obrera, Chihuahua
6,146 m²
EstacionamientoElectricidadGas naturalSeguridad
Hace 1 semana, 4 días en - BLI
Hospital
A 1 km de Hospital Morelos IMSS
Ocio
A 746 m de Parque Tiradores
Escuela
A 901 m de Escuela Primaria Independencia
Área total disponible: 6,202.47 m2/66,763 Sq.Fty el terreno cuenta con 16,676 m² (179,464 Sq.Ft). Las oficinas se construyen según requerimiento. La altura libre es de 9.75 m (32 ft) y el tamaño de bahía es de 15.24 m x 16.46 m (50 ft x 54 ft). Tiene 1 puerta tipo drive-in, un sistema contra incendios con gabinetes de mangueras, y el sistema HVAC es según requerimiento. El suministro de agua también es según requerimiento, mientras que el gas LP está disponible. La electricidad incluye 500 KVA. El techo es tipo KR-18, cuenta con 4 andenes de carga (docks). La iluminación es LED a 40 FC.
.
Nave Industrial
1
$ 940,996 MXN/mes
Obrera, Chihuahua
8,021 m²
EstacionamientoSeguridad
Hace 2 semanas, 3 días en - BLI
Hospital
A 1 km de Hospital Morelos IMSS
Ocio
A 746 m de Parque Tiradores
Escuela
A 901 m de Escuela Primaria Independencia
Área de producción de 86,343 pies cuadrados, oficinas según se requiera, tamaño de bahía 50 pies x 50 pies, altura: 32', iluminación: LED 40 fc, calefacción: unidades suspendidas a gas, evaporativo en la producción, protección contra incendios: estaciones de mangueras, piso: concreto reforzado con fibra de 6" de grosor, levantado, kr-18, puertas de muelle: 4.
.
Nave Industrial
$ 200,000 MXN/mes
Ponce de León, Chihuahua
Bodega
16/09/2025 en - Realtesa Bienes Raices
Guardería
A 715 m de Jardin de Niños Rosario Castellanos
Ocio
A 708 m de Parque Fornite
Escuela
A 705 m de Escuela Primaria Federal Jesus Orozco Mendoza
Nave Industrial en Complejo Industrial Chihuahua.
Superficie total: 2,300 m²
Bodega de almacenamiento: 2,000 m²
Oficinas administrativas: 300 m²
Precio de renta: $200,000.00 MXN + impuestos mensuales.
Descripción: Nave industrial ubicada en Complejo Industrial Chihuahua.
Área de bodega de 2,000 m² para almacenamiento, logística o manufactura ligera.
300 m² de oficinas funcionales para operaciones administrativas.
Permite el fácil acceso de vehículos de carga y maniobra, la nave incluye andén y altura libre para optimizar el espacio de trabajo. EasyBroker ID: EB-TQ1400
Nave Industrial
$ 3,053,154 MXN/mes
Las Granjas, Chihuahua
10,679 m²
Estacionamiento
Hace 6 días, 1 hora en - Grupo Villanueva
Hospital
A 835 m de Hospital General ISSSTE C. Presidente Lázaro Cárdenas
Escuela
A 671 m de Primaria Francisco Gonzalez Bocanegra
Hospital
A 786 m de Unidad de Medicina Familiar No:44
Industrial building for rent located in Chihuahua, with a construction of 10,679 m2 and all services, it has a strategic location, close to the Mercado Libre distribution center and Motorola plant, labor nearby.
CONSTRUCTION SPECIFICATIONS:
-Construction space: 10,679 m2.
-Ground: 24,798 m2.
-Free height: 9.7 m.
-Bay size: 15.24 m X 15.24 m / 15.24 m X 22.86 m.
-Construction type: Tilt-Up.
-Roof system: KR-18.
-Slab thickness: 15.24 cm.
-Ramp: 1
-Decks: 5
-Parking lot: 128
-Trailer parking: 12
-Lighting: Led 40 fc.
-Natural lighting: 3%.
UTILITIES:
-Firefighting system: Hose cabinets.
-Air conditioning: Ventilation 3 ACH
-Water: Available.
-LP Gas: Available.
-Telephone: Available.
-Electricity: Transformador 1000 KVAS.
COMMON AREAS
-Park security.
-Street lighting and access roads.
-Shared FPS.
-Shared electrical substation.
-Shared domestic water.
PRICE OF $7 USD PER m2, plus maintenance plus VAT.
Prices, features and photographs should be considered merely informative and subject to change without notice.
For a more accurate and up-to-date quote, please contact us, one of our specialized advisors will be happy to assist you. EasyBroker ID: EB-VA5601
Nave Industrial
$ 135 MXN/mes
Las Granjas, Chihuahua
6,858 m²
Estacionamiento
Hace 6 días, 1 hora en - Grupo Villanueva
Hospital
A 835 m de Hospital General ISSSTE C. Presidente Lázaro Cárdenas
Escuela
A 671 m de Primaria Francisco Gonzalez Bocanegra
Hospital
A 786 m de Unidad de Medicina Familiar No:44
Nave industrial en renta ubicada en Chihuahua, cuenta con una construcción de 6,858.40 m2 y todos los servicios, cuenta con una ubicación estratégica, cercana al centro de distribución Mercado Libre y planta Motorola, mano de obra cercana.
ESPECIFICACIONES DE CONSTRUCCIÓN:
-Espacio de construcción: 6,858.40 m2.
-Terreno: 14,664.97 m2.
-Altura libre: 9.7 m.
-Tamaño de la bahía: 15.24 m x 15.24 m
-Tipo de construcción: Tilt-Up.
-Sistema de techo: KR-18.
-Espesor de piso: 15.24 cm
-Rampa: 1
-Andenes: 4
-Estacionamiento: 119 cajones.
-Estacionamiento para tráiler: 12
-Iluminación: Iluminación: Led 40 fc.
-Iluminación natural: 3 %.
SERVICIOS :
-Sistema contra incendios: Gabinetes para mangueras.
-Climatización: Ventilación 3 ACH
-Agua: Disponible.
-Gas LP: Disponible.
-Teléfono: Disponible.
-Electricidad: Transformador de 500 KVAS
ÁREAS COMUNES
-Seguridad del parque.
-Alumbrado público y vías de acceso.
-FPS compartidos.
-Subestación Eléctrica Compartida.
-Agua doméstica compartida.
PRECIO DE SALIDA DE $7.7 USD POR m2, en base a propuesta, más mantenimiento más IVA.
Precios, características y fotografías deben ser consideradas meramente informativas y sujetas a cambio sin previo aviso. Para una cotización más precisa y actualizada, por favor contáctenos, uno de nuestros asesores especializados le atenderá con todo gusto. EasyBroker ID: EB-VA5602
Nave Industrial
$ 403,800 MXN/mes
Chihuahua
3,365 m²
Hace 2 semanas, 3 días en - INMOBILIARIA ABBA
En renta bodega nave industrial de concreto y acero con excelente iluminación, pisos de concreto y fachadap rincipalc on lamina acanalada, altura util minima de 7.1 mts. Energía eléctrica de 12 KVApor bodega (total 72KVA) trifasica a 220 V. Con 12 andenes con puertas enrrollables, 6 de ellos para trailers (3 mts de ancho), 6 andenes para pickups y camiones ligeros (3.5mts de ancho) accesos peatonales, 6 puertas independientes 29 espacios de estacionamiento para vehiculos + 6 espacios exclusivos para personas con discapacidad. Iluminacion LED industrial, accesos de entrada y salida independientes con caseta de vigilancia, vigilante 24/7, sistema de videovigilancia CCTV.Preparación para sistema contra inciendio, incluye manguera, valvula angular y chiflón. Calle frontal 19 mts de ancho.Posibilidad de acondicionar oficinas o baños internos segun requerimientos del arrendatario.
Nave Industrial
$ 134,400 MXN/mes
Chihuahua
1,120 m²
Hace 2 semanas, 3 días en - INMOBILIARIA ABBA
En renta bodegas desde. 560m2 nave industrial de concreto y acero con excelente iluminación, pisos de concreto y fachadap rincipalc on lamina acanalada, altura util minima de 7.1 mts. Energía eléctrica de 12 KVApor bodega (total 72KVA) trifasica a 220 V. Con 12 andenes para las 6 bodegas con puertas enrrollables, 6 de ellos para trailers (3 mts de ancho), 6 andenes para pickups y camiones ligeros (3.5mts de ancho) accesos peatonales, 6 puertas independientes 29 espacios de estacionamiento para vehiculos + 6 espacios exclusivos para personas con discapacidad. Iluminacion LED industrial, accesos de entrada y salida independientes con caseta de vigilancia, vigilante 24/7, sistema de videovigilancia CCTV.Preparación para sistema contra inciendio, incluye manguera, valvula angular y chiflón. Calle frontal 19 mts de ancho.Posibilidad de acondicionar oficinas o baños internos segun requerimientos del arrendatario.
Nave Industrial
$ 63,300 MXN/mes
Chihuahua
560 m²
Hace 2 semanas, 3 días en - INMOBILIARIA ABBA
En renta bodegas desde. 560m2 nave industrial de concreto y acero con excelente iluminación, pisos de concreto y fachadap rincipalc on lamina acanalada, altura util minima de 7.1 mts. Energía eléctrica de 12 KVApor bodega (total 72KVA) trifasica a 220 V. Con 12 andenes para las 6 bodegas con puertas enrrollables, 6 de ellos para trailers (3 mts de ancho), 6 andenes para pickups y camiones ligeros (3.5mts de ancho) accesos peatonales, 6 puertas independientes 29 espacios de estacionamiento para vehiculos + 6 espacios exclusivos para personas con discapacidad. Iluminacion LED industrial, accesos de entrada y salida independientes con caseta de vigilancia, vigilante 24/7, sistema de videovigilancia CCTV.Preparación para sistema contra inciendio, incluye manguera, valvula angular y chiflón. Calle frontal 19 mts de ancho.Posibilidad de acondicionar oficinas o baños internos segun requerimientos del arrendatario.
Nave Industrial
$ 59,880 MXN/mes
Destacado
Campestre del Bosque, Chihuahua
499 m²
EstacionamientoSeguridad
Hace 2 semanas, 3 días en - Ascenzo BR
Escuela
A 690 m de Centro de Capacitación 102
Escuela
A 754 m de Escuela Secundaria Técnica 77
Excelente complejo de bodegas, con una ubicación preferencial en la ciudad, en una zona de fácil acceso para industrias y comercios, cerca de los parques industriales de BAFAR, ideal para almacenamiento o industria de manufactura.
COMUNICATE AL 614247----
Precio por metro cuadrado a $120 pesos más IVA
Cuota de Mantenimiento a $8 pesos por m2
Características:
*Bodega de 499 m2 con opción a exparndir acorde a la disponibilidad.
*Operatividad, funcionalidad y accesibilidad para trailers al contar con patio para maniobras de carga y descarga.
*Andenes de descarga y rampas.
*Piso de tráfico pesado.
*Estacionamiento para 6.
*Altura de almacenamiento libre de 10 metros.
*Luz trifásica 110 y 220 y 20 kva por cada módulo de 1000m2.
*Area de oficinas 65 m2 con opción a construir.
*Superficies interiores térmico.
*Iluminación natural a través de laminas de acrílico (16%).
*Aislamiento en techumbre .
*Lamparas ahorradoras de energía al interior.
Nave Industrial
$ 45,000 MXN/mes
Destacado
Francisco I. Madero, Chihuahua
396 m²
AlarmaElectricidadInternet
Hace 4 días, 23 horas en - Ascenzo BR
Hospital
A 1 km de Hospital General ISSSTE C. Presidente Lázaro Cárdenas
Hospital
A 1 km de Unidad de Medicina Familiar No:44
¡BODEGA DISPONIBLE EN EL CORREDOR INDUSTRIAL LAS INDUSTRIAS! ¿Buscas una bodega con excelente ubicación y accesos rápidos al norte y sur de la ciudad?
¡Esta es la opción ideal para tu empresa! Perfecta para centros de distribución o giro industrial.
Características generales:
* Superficie total: 600 m²
* Construcción: 396 m²
* Oficina de 40 m² aprox.
* Medio baño
* Terreno adicional de 600 m² para estacionamiento (aprox. 15 cajones laterales)
Renta: $45,000 + IVA
Equipamiento y accesos:
* Puerta de acceso para camiones y camionetas
* Altura libre interior de 7 m (hasta 8 m en el centro)
* Techumbre con aislamiento de fibra de vidrio de 4”
* 5 cajones de estacionamiento al frente
* Iluminación interior instalada
* Ventilación natural
* Cortina metálica de acceso
* Energía 220V monofásico
* Sistema de alarma
Ubicación privilegiada sobre el corredor comercial del sector industrial Las Industrias.
* Ideal para empresas que buscan eficiencia, accesibilidad y crecimiento.
Para mayores informes: 614 247 ----
Nave Industrial
$ 225,625 MXN/mes
Francisco I. Madero, Chihuahua
2,375 m²
Hace 3 días, 11 horas en - INMOBILIARIA ABBA
Hospital
A 961 m de Unidad de Medicina Familiar No:44
Escuela
A 933 m de Escuela Secundaria Federal #2 Moises Saenz Garza
Hospital
A 1 km de Unidad de Medicina Familiar Nº 2
Muros sólidos de block, techo de lámina aislado, oficinas, 2 medios baños, cisterna con hidroneumático
Altura de 10mts para estiba, detectores de humo, alarma, piso industrial de 20cm
Anden con rampa niveladora, Vigilancia 24/7 los 365 días del año, Subestación compartida de 300 Kva's
Servicios: mantenimiento en áreas comunes, mantenimiento de CCTV, mantenimiento de techos, incluye
los extractores de aire, mantenimiento de rejas, incluye motor, mantenimiento a la subestación.
El precio + IVA
Nave Industrial
$ 150,332 MXN/mes
Francisco I. Madero, Chihuahua
1,582 m²
Hace 3 días, 11 horas en - INMOBILIARIA ABBA
Hospital
A 1 km de Hospital General ISSSTE C. Presidente Lázaro Cárdenas
Escuela
A 933 m de Escuela Secundaria Federal #2 Moises Saenz Garza
Hospital
A 961 m de Unidad de Medicina Familiar No:44
Muros sólidos de block, techo de lámina aislado, oficinas, 2 medios baños, cisterna con hidroneumático
Altura de 10mts para estiba, detectores de humo, alarma, piso industrial de 20cm
Anden con rampa niveladora, Vigilancia 24/7 los 365 días del año, Subestación compartida de 300 Kva's
Servicios: mantenimiento en áreas comunes, mantenimiento de CCTV, mantenimiento de techos, incluye
los extractores de aire, mantenimiento de rejas, incluye motor, mantenimiento a la subestación.
El precio + IVA
Nave Industrial
$ 75,040 MXN/mes
Francisco I. Madero, Chihuahua
789 m²
Hace 3 días, 11 horas en - INMOBILIARIA ABBA
Hospital
A 1 km de Hospital General ISSSTE C. Presidente Lázaro Cárdenas
Escuela
A 933 m de Escuela Secundaria Federal #2 Moises Saenz Garza
Hospital
A 961 m de Unidad de Medicina Familiar No:44
Muros sólidos de block, techo de lámina aislado, oficinas, 2 medios baños, cisterna con hidroneumático
Altura de 10mts para estiba, detectores de humo, alarma, piso industrial de 20cm
Anden con rampa niveladora, Vigilancia 24/7 los 365 días del año, Subestación compartida de 300 Kva's
Servicios: mantenimiento en áreas comunes, mantenimiento de CCTV, mantenimiento de techos, incluye
los extractores de aire, mantenimiento de rejas, incluye motor, mantenimiento a la subestación.
El precio + IVA
Nave Industrial
$ 75,292 MXN/mes
Francisco I. Madero, Chihuahua
792 m²
Hace 3 días, 11 horas en - INMOBILIARIA ABBA
Hospital
A 961 m de Unidad de Medicina Familiar No:44
Escuela
A 933 m de Escuela Secundaria Federal #2 Moises Saenz Garza
Hospital
A 1 km de Unidad de Medicina Familiar Nº 2
Muros sólidos de block, techo de lámina aislado, oficinas, 2 medios baños, cisterna con hidroneumático
Altura de 10mts para estiba, detectores de humo, alarma, piso industrial de 20cm
Anden con rampa niveladora, Vigilancia 24/7 los 365 días del año, Subestación compartida de 300 Kva's
Servicios: mantenimiento en áreas comunes, mantenimiento de CCTV, mantenimiento de techos, incluye
los extractores de aire, mantenimiento de rejas, incluye motor, mantenimiento a la subestación.
El precio + IVA
Nave Industrial
$ 32,000 MXN/mes
Destacado
Labor de Terrazas, Chihuahua
400 m²
EstacionamientoElectricidad
Hace 3 días, 11 horas en - Ascenzo BR
Excelente bodega cerca del complejo industrial Bafar, con excelente ubicación y con accesos a avenidas principales de la ciudad, ideal para centro de distribución, o cualquier otro giro, lista para entregar en el mes de octubre.
PARA MAYORES INFORMES COMUNICATE AL 614247----
Construcción: 400 m2
Características:
Portón de acceso, área abierta para montaje de oficina, baño en área de bodega.
Equipo:
Aislamiento térmico en techo, Altura maxima 6m y 5,5m a altura de cabrilla, ventilación natural, Tinaco, Porton metálico de 4.50 m X 4,5 m, Estacionamiento para cuatro autos, Energía de (110v Y 220v monofásica con opcion a trifasica)
Nave Industrial
$ 332,310 MXN/mes
Destacado
Américas, Chihuahua
3,498 m²
EstacionamientoElectricidadSeguridad
Hace 4 días, 23 horas en - Ascenzo BR
Hospital
A 1 km de Star Médica
Ocio
A 524 m de Cumbres I Etapa
Escuela
A 660 m de Escuela Primaria Nezahualcóyotl
Excelente Nave Industrial, con una ubicación preferencial en la ciudad dentro del Parque Industrial Las Americas, en una zona de fácil acceso para industrias y comercios, con gran potencial lógistico y distribución a toda la ciudad.
Informes al 614247----
Precios: $95 pesos m2
Superficies:
Bodega 1: 358 m2
Bodega 2: 1,730 m2
Almacén: 570 m2
Área de oficinas: 840 m2
Área Total construcciones: 3,498 M2
Total de Andenes de Carga en área de bodega uno: 4 andenes
Rampas de servicio a área de bodega uno: 1 rampa
Características:
Operatividad, funcionalidad y accesibilidad para trailers al contar con patio para maniobras de carga y descarga, cuenta con techos aislados y libres de goteras, con iluminación natural en varias zonas de la bodega
* Andenes de descarga y rampas.
*Internet y telefonía.
*Estacionamiento privado por cada espacio.
*Altura de almacenamiento libre de 9 metros.
*Luz trifásica 110 y 220 .
*Area de oficinas.
*Superficies interiores térmico.
*Iluminación natural a través de laminas de acrílico.
*Aislamiento en techumbre .
*Lamparas ahorradoras de energía al interior.
Equipamiento:
Aire acondicionado 15000 ft3
Aire acondicionado 12000 Ft3
Aire acondicionado Máster cool Mod. MHN6800 - 6800 Ft 3
Aire acondicionado Ultra cool Advantage Mod. ASA70-12 6500 ft 3
Unidad paquete de refrigeración capacidad 1 1?2 -5 TR 1 160-455 PSI / calefacción 135,000 BTU/HR MOD. D2nA060n11025C Marca YORK Heating-air conditioning
2 Aires Máster cool Impo Mod. MCHN4800 de 4800 Ft3
Aire Ultra Cool Mod. ASA 7112 7000 Ft3
Calefacción SX 80 capacidad 500,000 BTU /HR
3 Equipos de Calefacción mod. 80pj15EDR01 capacidad 500,000 BTU /HR
Transformador de 150 KVA
Nave Industrial
$ 125,000 MXN/mes
Las Granjas, Chihuahua
2,253 m²
Hace 3 días, 11 horas en - INMOBILIARIA ABBA
Hospital
A 786 m de Unidad de Medicina Familiar No:44
Escuela
A 671 m de Primaria Francisco Gonzalez Bocanegra
Hospital
A 835 m de Hospital General ISSSTE C. Presidente Lázaro Cárdenas
BODEGA EN RENTA EN EXCELENTES CONDICIONES CON CORTINAS METALICAS, ESPACIOS DE ESTACIONAMIENTO. CUENTA CON 3 BAÑOS PRIVADOS Y 2 BAÑOS CON 4 SANITARIOS CADA UNO. EL PRECIO ES MAS IVA
Nave Industrial
$ 51,719 MXN/mes
Destacado
Nombre De Dios, Chihuahua
450 m²
EstacionamientoElectricidad
Hace 5 días, 11 horas en - Ascenzo BR
Hospital
A 1 km de Unidad de Medicina Familiar No:44
Hospital
A 1 km de Unidad de Medicina Familiar Nº 2
¡Bodega disponible en el corredor industrial de Las Industrias!
¿Buscas una bodega con excelente ubicación y fácil acceso hacia el norte y sur de la ciudad?
¡Tenemos la opción ideal para tu empresa! Perfecta para centros de distribución o cualquier otro giro industrial.
Características principales:
* Superficie total: 500 m²
* Construcción: 450 m²
* Oficina de 20 m² aprox. y dos medios baños
* Renta: $51,7190 + IVA
Equipamiento y accesos:
Andén de carga con rampa niveladora mecánica
Puerta de acceso para camiones y camionetas
Altura libre interior: 8.10 m (frente) / 8.90 m (fondo)
Aislamiento de techumbre con 4” de fibra de vidrio
8 cajones de estacionamiento
Iluminación natural (láminas de acrílico 12%) e iluminación interior con lámparas
Tótem sobre avenida principal para colocar el nombre de tu empresa
Cortinas metálicas en andenes y accesos
Ubicación privilegiada sobre el corredor comercial del sector industrial de Las Industrias.
Ideal para empresas que buscan eficiencia, accesibilidad y proyección.
Para mayores informes comunícate al 614 247 ----
Nave Industrial
$ 71,280 MXN/mes
Destacado
Complejo Industrial Chihuahua, Chihuahua
792 m²
Aire acondicionadoElectricidadSeguridad
Hace 2 semanas, 3 días en - Ascenzo BR
Escuela
A 986 m de CRODE Chihuahua
Excelentes bodegas dentro de la ciudad con excelente ubicación y con accesos a avenidas principales como el corredor industrial de Ave. las Industrias. Ideal para centros de distribución. Se ofrece con 45m2 de oficina si así lo requieren.
PARA MAYORES INFORMES COMUNICATE AL 614247----
Superficie 792 m
Renta: $71,280 o $90 por m2
Características:
Detectores de humo, alarma
Altura de 10mts para estiba
Oficinas
Cisterna con Hidroneumático
Anden con rampa niveladora
Estacionamiento
Bodega Comunicada entre si por un portón para dar un total de 1,584m2.
Techo laminado con cubierta térmica y Lámina traslucida para mayor intensidad de luz natural y ahorro de energía.
Vigilancia 24/7 los 365 días
Sub estación compartida de 300 kva s
Servicios:
* Mantenimiento en areas comunes
* Mantenimiento de CCTV
* Mantenimiento de techos, incluyen los extractores de aire
* Mantenimiento de rejas, incluye el motor
* Mantenimiento a la subestacion
Nave Industrial
$ 191,752 MXN/mes
Nombre De Dios, Chihuahua
1,870 m²
Hace 2 semanas, 3 días en - INMOBILIARIA ABBA
Hospital
A 1 km de Unidad de Medicina Familiar No:44
Guardería
A 938 m de Jardin de Niños Ángel Trías
Hospital
A 993 m de Unidad de Medicina Familiar Nº 2
BODEGA INDUSTRIAL 1870 M2
PARA ALMACEN
ILUMINACION
+2,3 CARGADORES DE MONTACARGAS
TRES ANDENES
ALTURA TIENE LEVE INCLINACION PERO GENERAL 9M
Nave Industrial
$ 71,850 MXN/mes
Nombre De Dios, Chihuahua
716 m²
Hace 2 semanas, 3 días en - INMOBILIARIA ABBA
Hospital
A 1 km de Hospital General ISSSTE C. Presidente Lázaro Cárdenas
Hospital
A 906 m de Unidad de Medicina Familiar No:44
BODEGAS EN RENTA EN AV. NOGALES, NUEVAS CON 8 METROS DE ALTURA, 1 BAÑO
Nave Industrial
$ 24,500 MXN/mes
Destacado
Complejo Industrial Chihuahua, Chihuahua
180 m²
Aire acondicionadoEstacionamientoElectricidad
Hace 3 días, 11 horas en - Ascenzo BR
Escuela
A 986 m de CRODE Chihuahua
Excelentes bodegas al norte de la ciudad con excelente ubicación y con accesos a avenidas principales de la ciudad, ideales para centros de distribución o almacenaje.
PARA MAYORES INFORMES COMUNICATE AL 614247----
Renta: $24,500
Construcción: 180 m2
Características:
2 Oficinas
2 Baños
Lámina traslucida
Equipo:
Aire
Tinaco
Cortina Metálica en oficina y portón
Instalación para servicios de luz y agua
Estacionamiento para 3 aprox.
Nave Industrial
$ 38,000 MXN/mes
Jardines de La Mancha, Chihuahua
380 m²
Aire acondicionadoEstacionamientoElectricidad
Hace 3 días, 11 horas en - Ascenzo BR
Escuela
A 859 m de Facultad de Enfermería y Nutriología
Escuela
A 309 m de Facultad de Ciencias de la Cultura Física
Excelente Bodega Comercial, con una ubicación preferencial en la ciudad, al pie del corredor industrial norte, en una zona con accesos fáciles y seguros para industrias y comercios, a minutos del complejo Industrial Chihuahua, Ideal para logística, distribución o manufactura.COMUNICATE AL 614247----
Precio: $38,000 mas IVA
Superficie:
380 m2 de Construcción
Características:
* Rampa en piso para maniobra de carga y descarga con cortina metálica.
* Piso de tráfico pesado
* Acceso a servicios de Internet y telefonía.
* 3 cajones de estacionamiento.
* Altura de almacenamiento libre de 7 metros.
* Luz 110 y 220 .
* Area de oficinas. (2 Medios baños)
* Iluminación natural a través de laminas de acrílico (20%) para ahorro de energía
Nave Industrial
$ 33,000 MXN/mes
Jardines de La Mancha, Chihuahua
300 m²
Aire acondicionadoEstacionamiento
Hace 3 días, 11 horas en - Ascenzo BR
Escuela
A 859 m de Facultad de Enfermería y Nutriología
Escuela
A 309 m de Facultad de Ciencias de la Cultura Física
Excelente bodega al norte de la ciudad con excelente ubicación sobre avenida principal y con accesos rápidos para distintos puntos de la ciudad.
Restricciones: No se aceptan los giros de talleres de: mecánicos, carpintería, de pintura y enderezado.
PARA MAYORES INFORMES COMUNICATE AL 614247----
Renta $33,000 mas IVA
Superficie:
Construcción: 300 m2
Características:
2 Oficinas
2 Baños
Lámina traslucida
Equipo:
Aire, Tinaco, Cortina Metálica en portón.
Instalación para servicios de luz y agua
Estacionamiento para 2.
Nave Industrial
$ 33,000 MXN/mes
Paseos de Chihuahua, Chihuahua
300 m²
Aire acondicionadoEstacionamientoElectricidad
Hace 3 días, 11 horas en - Ascenzo BR
Escuela
A 972 m de Tecno parque UACH
Escuela
A 633 m de Facultad de Enfermería y Nutriología
Excelentes bodega al norte de la ciudad con excelente ubicación y con accesos a avenidas principales de la ciudad.
PARA MAYORES INFORMES COMUNICATE AL 614247----
Construcción: 300 m2
Características:
2 Oficinas 2 Baños Lámina traslucida
Equipo:
Aire, Tinaco, Cortina Metálica en portón.
Instalación para servicios de luz y agua
Tres cajones para Estacionamiento
Nave Industrial
1
$ 100,000 MXN/mes
Rodolfo Fierro, Chihuahua
1,000 m²
Electricidad
Hace 2 semanas, 3 días en - EspacioR
Guardería
A 546 m de Jardin de Niños Otilia Garcia Neiro
Escuela
A 335 m de Escuela Primaria Manual Lopez Davila
Guardería
A 917 m de Jardin de Niños Luis Donaldo Colossio
BODEGA EN RENTA SOBRE VIALIDAD LOS NOGALES
- 1000m2 de bodega
- 250m2 de estacionamiento
- 7.5mt de altura
- Acceso para trailer
- Concreto pulido 15cm
- Block
- Techo lamina con aislante de fibra de vidrio
EspacioR bienes raices tu solución inmobiliaria